В Костанайской области, изъятые у Свидетелей Иеговы брошюры и диски, признали откровенно экстремистскими«Откровенно экстремистский характер» – таково заключение экспертов по брошюрам и дискам, которые изъяли у Свидетелей Иеговы. Скоро станет известна и реакция прокуратуры. Не исключено, что будет возбуждено уголовное дело. Для Костанайской области...
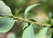
В Костанае аномальное нашествие насекомыхАномальное количество тли - маленьких насекомых, величина которых не превышает нескольких миллиметров - наблюдается в Костанае. Как сообщил в пятницу агентству "Интерфакс-Казахстан" научный сотрудник отдела природы областного историко-краеведческого...
Награду «Широкое сердце» получил Костанайский врач Дмитрий Герасимов, спасший сотни детских жизнейНакануне праздника медицинского работника благодарность и признание от коллег и партии «Нур Отан» получили лучшие работники медицинской службы. Один из них – Дмитрий Герасимов - заведующего травматологическим отделением детской областной больницыВрач...
В Костанайской области утонули ребенок и мужчинаИнформация о двух утонувших за 2 дня в Костанайской области появилась на официальном сайте МЧС РК.В городе Лисаковск на реке Тобол 13 июня в 15 ч. 38 мин. во время купания утонул ребенок 2001г.р. В 16 ч. 55 мин. тело обнаружено...
20 новых горно-металлургических предприятий создадут в КазахстанеВ Казахстане будет создано 20 новых горно-металлургических предприятий в рамках госпрограммы форсированного индустриально инновационного развития, передает корреспондент Tengrinews.kz со ссылкой на заместителя премьер-министра - министра...
В Казахстане законодательно урегулируют вопросы в сфере трансплантации органовМажилис Парламента принял в работу законопроект "О внесении изменений и дополнений в кодекс РК "О здоровье народа и системе здравоохранения", передает корреспондент Tengrinews.kz с пленарного заседания палаты.Проект закона разработан...
Более ста казахстанцев вернулись из Турции на самолетах МЧС РКБолее ста граждан Казахстана вернулись на родину после того, как не смогли прилететь из Турции из-за банкротства авиаперезвочика Sky Airlines, сообщает ИА Новости-Казахстана. Сообщается, что в ближайшие два дня должны вернуться еще 594 казахстанца. «На...
Чем запомнится казахстанцам уходящий 2012 годУходящий 2012 год стал для Казахстана насыщенным на события, как радостные, так и трагические. Подводя итоги в преддверие Нового года, BNews.kz решил разделить самые яркие информационные поводы по отдельным категориям. Итак, назовем это специальными...
Ветеранам войны и бюджетникам вручены ключи от новых квартирСегодня аким Костанайской области Нуралы Садуакасов вручил ключи от новых квартир ветеранам Великой Отечественной войны и сотрудникам госучреждений.Вручение состоялось возле новостройки - дома № 6/1 по улице Текстильщиков.Аким области поздравил...
Фермеры Казахстана предрекают кризис посевной компании-2013Правительству РК необходимо в экстренном порядке решать вопрос с семенами, считают в Союзе фермеров Казахстана. В случае, если ситуация не будет взята государством под особый контроль, СФК прогнозирует катастрофическую нехватку семян для проведения...
Зимние студенческие игры прошли в КостанаеЗаезд на санях, лыжные гонки и игра «Царь горы» собрали более трехсот участников на спортивном фестивале зимних студенческих игр. Спортивный праздник такого масштаба в этом году проводится впервые.На стадионе в районе костанайского городского...
Вышел в свет атлас достопримечательностей КазахстанаВ Алматы состоялась презентация уникального издания - трехтомного атласа памятников и достопримечательностей истории, культуры и географии Казахстана, передает телеканал 24.kz."От Алтая до Каспия" - так называется проект, над которым пять лет...
Казахстан создал свою ЛапландиюВ Боровом в Акмолинской области Президент Казахстана Нурсултан Назарбаев принял участие в открытии гостиницы "Риксос-Боровое", а также посетил уникальный сказочный объект "Казахстанская Лапландия", расположенный в Щучинско-Боровской курортной...
Новогоднюю корзину оценили в 21 тыс 236 тенгеСредняя стоимость продуктов «новогодней корзины» составляет 21 тыс. 236 тенге, сообщили деловому порталу Kapital.kz в ОО «Казпотребнадзор». Исследование проведено ОО «Казпотребнадзор» совместно с исследовательским агентством «Рейтинг.kz». Средняя...
Конец света так и не насталКонец света, который земляне ожидали сегодня, так и не наступил, передает корреспондент Tengrinews.kz. Многие жители планеты, взбудораженные слухами о том, что в этот день наступит апокалипсис, готовились к самому худшему. По времени Астаны...
Титул "Мисс Вселенная" завоевала 20-летняя американкаОливия Калпо одержала победу на конкурсе красоты «Мисс Вселенная-2012», последний тур которого имел место в Лас-Вегасе, 19 декабря вечером.Традиционно, лауреатка получила «в наследство» корону от победительницы конкурса «Мисс Вселенная-2011»,...
Яндекс выяснил, где казахстанцы хотят встречать Новый годКомпания «Яндекс» выяснила, где жители Казахстана предпочли бы встречать Новый год, передает Zakon.kz со ссылкой на маркетинговую службу «Яндекса».Примерно в 4% поисковых запросов про Новый год пользователи указывают места, где они собираются...
В Рудном будет разработан генеральный план городаВ Рудном в рамках госпрограммы «Развитие моногородов» будет разработан генеральный план города. Об этом корреспонденту BNews.kz сообщил аким г. Рудный Бахытжан Гаязов.«Первоочередной задачей программы моногородов является корректировка генерального...
В Костанайской области закрыты дорогиВ связи с ухудшением погодных условий (понижение температуры) с 17 ч. 00 мин. закрыто движение на автодороге «Астана-Павлодар» для всех видов автотранспорта; с 17 ч. 30 мин. закрыто движение на дороге «Астана-Караганда» для общественного и дизельного...
Казахстан отмечает День Независимости16 декабря в Казахстане ежегодно празднуют главный национальный праздник страны - День Независимости. Именно в этот день в 1991 году был принят закон о независимости и государственном суверенитете республики.После распада СССР Казахская Советская...


34050






